조황관리HOME / 조황관리 / 상세정보

제목 : 29일 참돔타이라바 조황입니다
등록일 : 2026-03-30



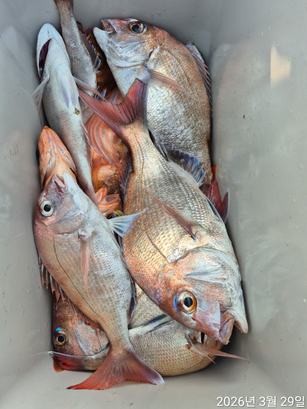
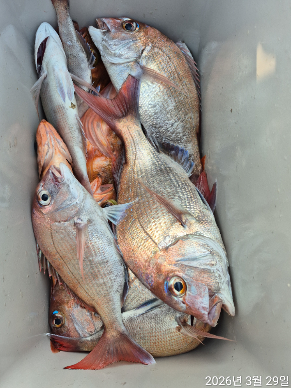
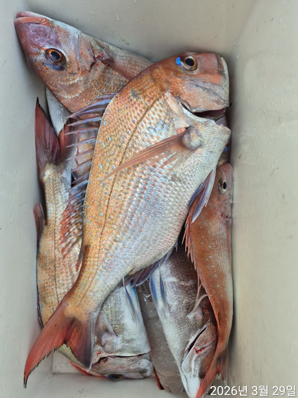
29일 참돔 타이라바 소수인원조황입니다 
오랜만에 먼바다 타이라바 다녀 왔는데요
오전 들물까지는 참돔이  곧잘 나와  주웠는데 썰물에는 
고기들이 입을다물어 힘든낚시가 되고 ㅠ ㅠ  낚시중간 중간 사이즈좋은 잡어들이 심심치 않게 나와 우리조사님들 손맛을 더해 주어  즐낚할수 있었고 오늘출조하신 모든분들 잘놀다 가신다고 하셔서 기분좋게 철수하셨습니다 ...
수고하셨구요  다음주 일요일 먼바다 기상좋아 보입니다
참돔타이라바 출조모집합니다 
#예약현황 # 출조문의 010  3602  6096  
   ★자리선정은 당일추첨이며 단5인이상 단체및
         연박자는  우선권인점 양해바랍니다.★

1000017103.jpg


1000017104.jpg


1000017106.jpg


1000017107.jpg


1000017108.jpg

 
                      


=====
고흥 녹동항 왕눈이호 예약안내 ======

안녕하세요! 녹동항 왕눈이호입니다.
먼길 찾아주시는 조사님들을 위해 늘 최선을 다해보겠습니다. 

■ 예약문의 : 010-3602-6096
■ 오시는길 : 전남 고흥군 도양읍 용정리 2295-21
출 항 지 : 전남 고흥군 도양읍 용정리 2295-21
                         전남 고흥군 도양읍 잠두선창길18

■ 왕눈이호 실시간 예약 바로가기 : http://wangnuni.sunsang24.com/




Top